Разделы
Материалы

Земля ступила на неизведанную территорию: смертоносный ураган сделал будущее планеты неясным

Тая Китова
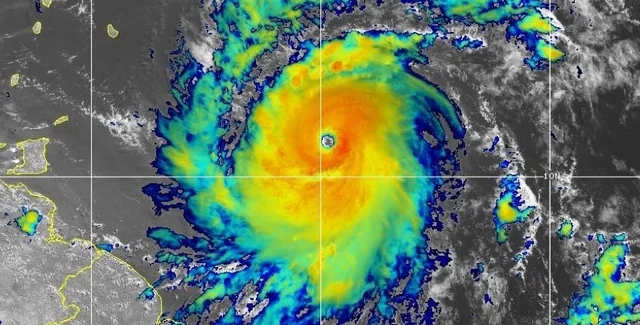
Берил стал рекордным и смертоносным ураганом в истории | Фото: NOAA

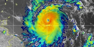
Сезон ураганов в Атлантике начался с рекордов — ураган Берил стал первым в истории, достигшим таких масштабов в июне.

Климатический кризис темной тенью нависает над планетой и этого трудно не заметить: последние 13 месяцев стали самыми жаркими в истории, и эта тенденция, вероятно, сохранится. В результате на мир обрушились экстремальные волны жары, засухи, лесных пожаров и наводнений, а сезон ураганов в Атлантике стартовал с рекордно смертоносного шторма, пишет Futurism.

Наблюдения показывают, что урагану Берил потребовалось всего два дня, чтобы из незначительного тропического шторма превратиться в смертоносное явление четвертой категории. Далее он и вовсе перерос в ураган высшей 5 категории — самый сильный по шкале ураганного ветра. Ученые отмечают, что Берил пронесся по Карабскому морю с невероятной скоростью в 265 км/час, вызвав множество смертей.

У Фокус. Технологии появился свой Telegram-канал. Подписывайтесь, чтобы не пропускать самые свежие и захватывающие новости из мира науки!

Рекордное начало сезона ураганов в Атлантике не на шутку встревожило ученых-экологов. Во-первых, ученые озадачены тем, как рано возник ураган, так как большинство столь крупных штормов, как правило, формируются лишь ближе к сентябрю. Во-вторых, исследователи полагают, что столь экстремальное начало сезона ураганов почти наверняка связано с изменением климата, повышающим температуру Атлантического океана.

По словам климатолога из Университета Майами Брайана Макнолди, появление Берила в июне является "беспрецедентным", указывая на невероятно высокие температуры, которых достиг океан. Он также добавил, что ни один из прогнозов исследователей не ожидал такого аномального события, несмотря на то, что ученые предупреждали — ураганы в этом году будут экстремальными.

В последние годы на Земле наблюдается тревожная тенденция: в 2023 ученые наблюдали запредельные температуры в океане, а в 2024 ситуация выглядит аналогично. Увы, это не сулит ничего хорошего. По словам Макнолди, наблюдения показывают, что с середины мая в Карибском море наблюдались чрезвычайно высокие температуры — значительно выше обычного пика. Исследователи обеспокоены тем, что океан уже сейчас выглядит так, будто сейчас пик сезона, а потому чрезвычайно тревожно представить то, как в действительности может выглядеть пик сезона.

По словам эксперта по ураганам из Университета Роуэна Андры Гарнер, к сожалению, с точки зрения науки, то, что сегодня наблюдается в океане, является закономерным, когда мы нагреваем планету, а в особенности океаны.

Отметим, ученые до сих пор не могут 100% уверенностью заявить, что изменение климата является прямой причиной увеличения количества штормов. Результаты исследований показывают, что интенсивность штормов растет, питаясь более высокими температурами океана и высвобождая больше дождя из-за дополнительной влаги в воздухе.

По словам научного сотрудника Национального управления океанических и атмосферных исследований Хироюки Мураками, все еще не ясно в какой именно степени изменение климата способствует раннему формированию урагана Берил. Однако климатические модели ученых предполагают, что средняя интенсивность ураганов в этом сезоне значительно увеличится в будущем и виной тому глобальное потепление планеты.

Ситуация настолько ужасна, что эксперты теперь призывают добавить новую "шестую категорию", поскольку скорость ветра намного быстрее достигает рекордов. Простыми словами, мир ступил на неизведанную территорию, а сезон ураганов лишь начался.

Ранее Фокус писал о том, что смертоносные ураганы на Земле изменят свой характер: что в будущем ждет планету.