В Тасмановом море обнаружен подводный "затерянный мир"

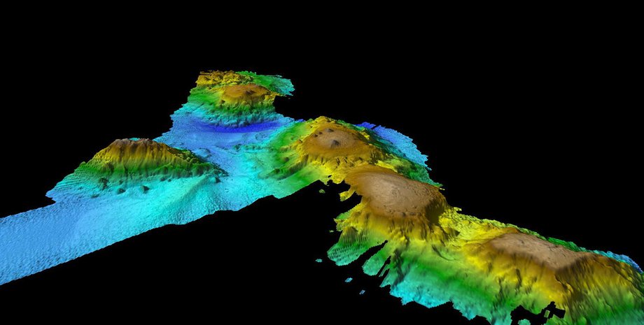
Фото: Государственное объединение научных и прикладных исследований Австралии
Фото: Государственное объединение научных и прикладных исследований Австралии

Тасманово море скрывает сеть подводных вулканов и гор, высота которых может достигать 3000 метров

Австралийские ученые обнаружили "затерянный мир". Именно так они называют сеть подводных гор и вулканов, доселе скрывавшихся в Тасмановом море. Открытие совершил экипаж исследовательского судна Investigator, осуществлявший 25-дневную научную миссию в регионе.

Об это сообщается на сайте Государственного объединения научных и прикладных исследований Австралии (CSIRO).

В ходе составления карты морского дна они выяснили, что высота подводных пиков может достигать 3000 метров. Но даже при этом до поверхности им еще далеко. Чтобы достать до волн, не хватает еще 2000 метров. По словам доктора Тары Мартин из CSIRO, подводные горы разнятся по форме и размерам. Некоторые оканчиваются "острыми пиками", а другие – "ровными плато".

Відео дня

"Проведенное нами картографирование, позволило впервые во всей красе увидеть сеть подводных вулканов и гор, возвышающихся над абиссальной равниной, расположенной на глубине 5000 метров", - говорит Мартин.

Подводная область, удаленная на 400 км к востоку от Тасмании, служит пристанищем для разнообразной морской живности. В частности, для китов и дельфинов.

"Пока мы проходили над грядой подводных гор, к кораблю подплывало множество горбатых китов и шароголовых дельфинов. В один из дней мы насчитали 28 горбатых китов, а на следующий увидели 60-80 шароголовых дельфинов", - рассказывает один из членов экипажа Investigator, доктор Эрик Вулер, добавляя, что корабль также сопровождало множество птиц.

Ученые полагают, что "затерянный мир" играет значительную роль для мигрирующих морских обитателей, использующих его в качестве ориентира.

"Подводные горы могут играть роль дорожного указателя на морском миграционном шоссе, которым пользуются горбатые киты, передвигающиеся от мест зимовки к летним пастбищам, - поясняет доктор Вулер. – Нам повезло припарковаться прямо над этим шоссе для морской фауны".

Теперь австралийским ученым предстоит еще больше исследовательской работы. В ноябре и декабре экипаж Investigator вернется в Тасманово море, чтобы изучить происхождение подводных гор и их обитателей. Причем в следующий раз они прихватят с собой камеры, позволяющие снимать видео высокого разрешения.

Как писал Фокус в рубрике Новости аналитики, ранее у берегов Гавайских остров был обнаружен доселе неизвестный науке гибрид двух видов дельфинов.