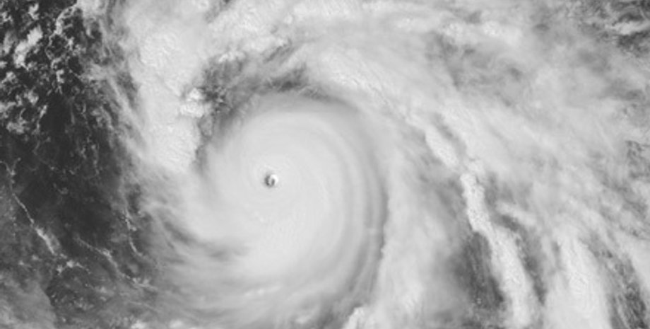
В Китае приближается тайфун Соулик

Национальный метеорологический центр Китая объявил "оранжевый" уровень опасности из-за приближением тайфуна "Соулик"

Тайфун движется со стороны Филиппинского моря в сторону Тайваня со скоростью 20 км в час, пишет ИТАР-ТАСС.

Ожидается, что он достигнет восточной части острова в субботу утром, 13 июля, а затем направится к прибрежным восточным провинциям КНР Чжэцзян и Фуцзянь.

Национальный метеорологический центр уже призвал суда возвратиться в порты.

В КНР принята четырехуровневая система предупреждения об опасности приближения тайфуна, уровни в которой обозначаются по возрастанию: голубым, желтым, оранжевым или красным цветами.