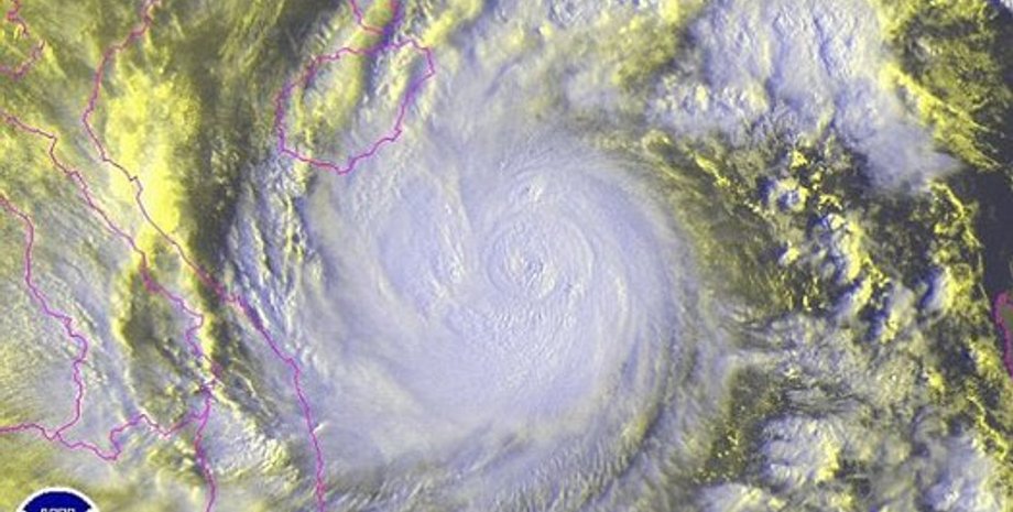
В Китае из-за тайфуна затонули три судна, более 70-ти рыбаков пропали без вести - СМИ

Три китайских рыболовных судна затонули в Южно-Китайском море в результате тайфуна Вутип. 74 человека пропали без вести, передают в понедельник местные СМИ со ссылкой на поисково-спасательную службу.

Пять судов из южнокитайской провинции Гуандун, на которых находился 171 человек, попали в тропический шторм в воскресенье в районе островов Сиша в 330-ти километрах от островной провинции Хайнань.

По сообщению, опубликованному на официальном аккаунте газеты Хайнань жибао в китайском сервисе микроблогов Вэйбо, на трех затонувших судах находились 88 человек, к 12:05 понедельника (07:05 мск) спасателям удалось спасти 14 человек.

Тайфун Wutip стал 21-м в этом сезоне. В воскресенье китайская морская служба объявила "оранжевый" уровень опасности для провинций Хайнань, Гуандун и Гуанси-Чжуанского автономного района.

Відео дня

Напомним, в минувшем месяце в юго-восточной части Китая от тайфуна Трами пострадали 485 тысяч человек, десятки тысяч были эвакуированы.

По материалам РИА Новости