Тропические циклоны: мифы и реальность

Тайфун Хайян, обрушившийся на Филиппины, унес тысячи жизней. "Инкубатором" для таких атмосферных вихрей служат теплые воды океана. Стоит ли ждать роста количества ураганов в свете изменений климата?

Складывается впечатление, что в СМИ в последнее время все чаще появляются сообщения о разрушительных смерчах и тайфунах. Однако эксперты не спешат подтверждать обоснованность подобных представлений. "За последние десятилетия какой-либо однозначной тенденции относительно количества ураганов не наблюдается", - констатирует сотрудник Немецкой метеорологической службы Кристиан ерольд (Christian Herold).

Основная причина разных - и зачастую весьма противоречивых - мнений специалистов кроется в том, что они лишь сравнительно недавно научились судить о силе этих атмосферных явлений по данным со спутников. Для классификации тропических циклонов (в Юго-Восточной Азии их называют тайфунами, в Северной и Южной Америке - ураганами) метеорологи используют различные шкалы, ориентированные на максимально возможную силу ветра в бассейне зарождения циклона.

Відео дня

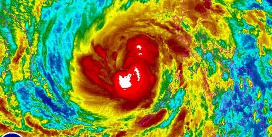
Хайан

В бассейне Тихого океана, к востоку от так называемой линии перемены дат, применяется шкала Саффира-Симпсона. По ней тайфуну Хайян была присвоена максимальная категория: пятая. "До сих пор нам еще не доводилось наблюдать столь высокую скорость ветра, какая была зарегистрирована на Филиппинах", - отмечает научный сотрудник Потсдамского института по изучению последствий изменений климата Фридрих-Вильхельм Герстенгарбе (Friedrich-Wilhelm Gerstengarbe).

Тропический циклон

"Кроме того, - продолжает ученый, - "Хайян" аккумулировал колоссальное количество водяного пара, что вызвало чрезвычайно сильные ливневые дожди и затопление обширных территорий".

Насыщенность тропического циклона влагой напрямую связана с механизмом его формирования. "Кольца змеи" - так с древнегреческого переводится слово "kyklos", от которого произошло слово "циклон", - возникают над океаническими водами с температурой не ниже плюс 26 градусов по Цельсию. Теплое и холодное воздушные течения циркулируют над поверхностью океана разнонаправлено. В результате вращения Земли потоки воздуха закручиваются, образуя нечто вроде спирали. Чем интенсивнее вихревое движение, тем выше разрушительная сила циклона.

Ураганы становятся все опаснее?!

Большинство экспертов сходятся во мнении, что говорить о росте количества ураганов и тайфунов в последние десятилетия нет никаких оснований. Однако, возможно, увеличивается их разрушительная сила? Этой точки зрения придерживается Фридрих-Вильхельм Герстенгарбе: "Доля мощных тропических циклонов третьей, четвертой и пятой категорий неуклонно возрастает".

Причем не только в тихоокеанском бассейне. За минувшие тридцать лет скорость атмосферных вихрей заметно выросла и над Атлантикой. Об этом свидетельствует анализ метеорологических данных, выполненный учеными Университета штата Флорида в Таллахасси. Результаты их исследования были опубликованы в 2008 году в журнале Nature. Растет не только сила ветра, но и разрушительная сила циклонов – по крайней мере, в северо-западной части Тихого океана. Это вытекает из расчетов Керри Эмануэла (Kerry Emanuel), научного сотрудника Ливерморской национальной лаборатории имени Лоуренса в Калифорнии.

В то же время целый ряд других исследователей подобной тенденции не видят. В частности, группа ученых Колорадского университета в Боулдере во главе с Роджером Пилке-младшим (Roger Pielke jr.), хоть и признает рост ущерба от ураганов, объясняет его увеличением тарифов страховых компаний, а вовсе не интенсивностью самих циклонов.

Единого мнения нет

Таким образом, амплитуда научных оценок, которые дают представители академического сообщества, весьма широка. Моджиб Латиф (Mojib Latif), научный сотрудник Центра морских исследований имени Гельмгольца в Киле, объясняет такой разброс мнений нехваткой достоверных данных.

Это все равно, что играть шулерскими костями, считает ученый: "Заметить обман можно только после множества бросков". В случае с тропическими циклонами о какой-то определенной тенденции тоже можно будет говорить лишь после многолетних наблюдений.

Виноваты изменения климата?

Тайфун Хайян приближается к территории Филиппин

Причиной активизации тайфунов и ураганов (если, конечно, она действительно имеет место) могут служить изменения климата. "В ряде регионов температура воды в океане существенно возросла. Это касается, прежде всего, Карибского бассейна и того района, где зародился Хайян, - говорит Фридрих-Вильхельм Герстенгарбе. - Рост весьма значителен: с плюс 28 до плюс 30 градусов".

Соответственно увеличилась и вероятность формирования тропических циклонов, поясняет метеоролог Свен Плегер (Sven Ploger). С подъемом температуры растет и содержание влаги в атмосфере. И от этого огромного "резервуара" с водяным паром, как от аккумулятора, подпитывается тайфун.

В то же время не стоит забывать, что наши знания о природных процессах и механизмах в значительной мере основывается на моделях. "Система очень сложна, - подчеркивает Кристиан Херольд. - Мы не знаем, действительно ли повышение температуры океана вызывает зарождение более мощных циклонов. Не исключено, что рост температуры воды влечет на собой изменение каких-то других атмосферных параметров, которые, наоборот, тормозят формирование тайфунов".

Предупрежден и вооружен

Как бы там ни было, для того, чтобы минимизировать риски, необходимо усовершенствовать систему раннего оповещения об угрозе ураганов и тайфунов. Ведь когда речь идет о густонаселенных регионах, решающую роль играет фактор времени.

Метеорологи сегодня способны делать лишь краткосрочные прогнозы - не более, чем на четыре дня вперед. Поэтому тех двух или трех суток, которые обычно есть в запасе у служб быстрого реагирования до наступления часа "икс", хватает далеко не всегда. "Но стопроцентной безопасности мы не добьемся никогда, - предостерегает Свен Плегер. - Стихийные бедствия таких масштабов неминуемо несут угрозу здоровью и жизни людей".

Источник: Русская служба DW