Мир
Фото: NHC_Atlantic
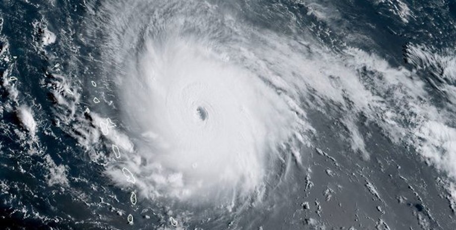
В Атлантике сформировался 15-й шторм в этом сезоне
0
Уже в пятницу "Офелия" станет ураганом
В Атлантическом океане сформировался тропический шторм "Офелия".
Об этом со ссылкой на Twitter Национального центра США по слежению за ураганами, сообщают мировые СМИ.
"Шторм сформировался над Атлантическим океаном и не представляет опасности для каких-либо территорий в течение следующих 5 дней", - говорится в сообщении.
- ЧИТАЙТЕ ТАКЖЕ: Ущерб от "Харви" на $3 млрд превысил убытки от "Катрины"
Данный шторм является уже 15-м в этом сезоне, сообщает CNN.
Отмечается, что шторм сформировался над океаном в 1384 км юго-западнее Азорских островов.
По прогнозам, "Офелия" будет усиливаться по мере приближения к восточному побережью США и в пятницу станет ураганом.
Відео дня
Напомним, Пуэрто-Рико "практически уничтожен".