Разделы
Материалы

Люди открыли Америку на 7000 лет раньше, чем считалось: это меняет историю континента

Андрей Кадук
Люди открыли Америку на 7000 лет раньше, чем считалось: что выяснили ученые | Фото: phys.org

Авторы нового исследования, нашли больше доказательств тому, что люди заселили Северную Америку не 14 000 лет назад, а раньше.

Долгое время предметом споров в научном сообществе оставался ответ на вопрос о том, когда и каким образом первые люди прибыли в Северную Америку. В 20 веке считалось, что заселение внутренних территорий континента произошло не раньше, чем 14 тысяч лет назад. Ученые из Университет Борнмута, Великобритания, еще 2 года назад впервые заявили о том, что первые люди попали в Америку на 7 тысяч лет раньше. Но их утверждение подвергли критике. Теперь же исследователи нашли новые доказательства, подтверждающие их предыдущие выводы, пишет Phys.

У Фокус. Технологии появился свой Telegram-канал. Подписывайтесь, чтобы не пропускать самые свежие и захватывающие новости из мира науки!

По словам Мэтью Роберта Беннетта из Университета Борнмута, в прошлом веке ученые предполагали, что первые люди попали из Аляски во внутренние регионы Северной Америки не раньше, чем 14 тысяч лет назад. Это было связано с появление своеобразного коридора из-за таяния льда между ледяными щитами во время последнего ледникового периода.

По словам Салли Кристин Рейнольдс из Университета Борнмута, в начале 21-го века появились гипотезы, что люди заселили Северную Америку впервые на 2 тысячи лет раньше, но опять-таки этот процесс произошел только в конце ледникового периода.

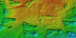
Два года назад эти ученые представили исследование найденных древних окаменелых человеческих следов и оказалось, что эти следы были оставлены людьми еще 23 тысячи лет назад. Таким образом, ученые переписали историю Америки, и это вызвало волну критики в научном сообществе.

"Теперь у нас есть доказательства, которые подтверждают эти данные", — говорит Беннет.

Во время предыдущего исследования ученые провели радиоуглеродный анализ окаменелых семян травянистых растений, которые были обнаружены отложениях недалеко от места, где были обнаружены следы древних людей.

Во время предыдущего исследования ученые провели радиоуглеродный анализ окаменелых семян травянистых растений, которые были обнаружены отложениях недалеко от места, где были обнаружены следы древних людей
Фото: phys.org

"Нас критиковали за то, что анализ показал слишком древнюю дату потому как семена травы подверглись влиянию так называемой жесткой, то есть более соленой, воды. Такая вода содержит карбонатные соли, а значит и углерод. Поэтому часть изотопа углерода под названием углерод-14, на котором основано наше датирование, подверглась радиоактивному распаду. Критики заявили, что семена травянистых растений могли потреблять старую воду и возраст семян казался больше, чем есть на самом деле", — говорит Рейнольдс.

Для того чтобы провести новый радиоуглеродный анализ для подтверждения предыдущих выводов, ученые использовали метод проточной цитометрии, который чаще используется для подсчета и отбора проб отдельных клеток человека. Проточная цитометрия использует флуоресцентные свойства клеток, стимулированных лазером. Эти клетки двигаются через поток жидкости. Флуоресценция позволчет отводить отдельные клетки в потоке жидкости, брать пробы и концентрировать их.

"С помощью проточной цитометрии мы обработали образцы отложений для концентрации в них семян травы. Новое исследование показало, что никакого влияния очень старой воды на семена не было. Чтобы окончательно убедиться в правильности своих выводов мы использовали и другой метод датирования, который называется оптически стимулированной люминесценцией. Этот метод основан на накоплении энергии внутри погребенных в отложениях зерен кварца с течением времени. Эта энергия исходит от фонового излучения, окружающего нас. Чем больше энергии мы находим, тем старше зерна кварца. Эта энергия высвобождается, когда кварц подвергается воздействию света, поэтому можно узнать, когда зерна кварца в последний раз видели солнечный свет", — говорит Беннет.

Метод оптически стимулированной люминесценции также показал, что люди оставили следы во внутренней части Северной Америки 23 тысячи лет назад, основываясь на датировании окаменелых зерен древних растений, говорят ученые.

Фокус уже писал о том, что ученые воссоздали лицо самого древнего найденного человека.