Поразительный дизайн. На Оркнейских островах обнаружили тяжелый меч викинга X века (фото)

меч, грязь, ржавчина, фото
Обнаруженный археологами меч

Меч принадлежал воину из первого поколения викингов, заселивших острова. Клинок был в очень плохом состоянии, поэтому, чтобы не повредить артефакт, археологи выкопали его с большим слоем грунта, перевезли в лабораторию и затем рассмотрели с помощью рентгена.

После сканирования рентгеновскими лучами археологи обнаружили в Шотландии богато украшенную рукоятку (эфес) меча викингов. Меч сильно проржавел и покрылся грязью, пишет Live Science.

Полученные рентгеновские изображения показывают оружие в новом свете и раскрывают его поразительный дизайн.

Находка является частью сокровищницы викингов, обнаруженной в 2015 году на небольшом острова на севере Оркнейского архипелага — Папа-Уэстрей. Археологи обнаружили меч, лежащий поверх человеческих останков. В погребении также находились пряжка, стрелы и умбон — металлическая центральная часть щита полусферической или конической формы.

Відео дня

Как отмечают исследователи, это место относится к первому поколению норвежских поселенцев, которые прибыли на Оркнейские острова в X веке.

Так как меч был в очень плохом состоянии, ученые переживали, что удаление ржавчины и грязи нанесет мечу непоправимый ущерб. Поэтому, чтобы не повредить меч, археологи выкопали его с большим слоем грунта, а затем перевезли в лабораторию и провели там экспертизу.

Единственный способ, с помощью которого можно увидеть, как выглядел меч изначально — проанализировать его с помощью рентгеновских лучей.

"Благодаря рентгеновским лучам, мы смогли рассмотреть на каждом конце рукоятки — гарды, которые были невероятно украшенными. Металлическая гарда (дужка) или чашка предназначены для защиты кисти руки от ударов и уколов оружия противника", — рассказали ученые.

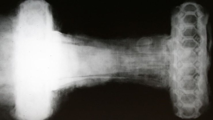
рентгеновский снимок, меч, рукоятка, снимок
На рентгеновском снимке меча викингов видна декоративная рукоятка в виде пчелиных сот

Серия удлиненных восьмиугольников и выпуклых ромбов меча была использована для создания узора, похожего на медовые соты, с применением контрастных металлов. Ученые также добавляют, что этот меч Педерсена, типа D — самый тяжелый вид оружия викингов, требующий сбалансированной рукояти.

Всего в мире известно по меньшей мере около 30 таких клинков. Половина из них была найдена в Норвегии, другие обнаружены на западе до Дублина и на востоке до Словакии, Польши и России.

Исследователи также обнаружили частичные остатки деревянных ножен, минерализованных на лезвии меча. Рукоятка меча была покрыта минерализованной органикой, которая, скорее всего, являлась остатками защитного чехла, пришитого непосредственно к эфесу.

Что еще удивило ученых, так это положение в котором обнаружили меч. Обычно меч клали рядом с телом лезвием вниз, однако этот экземпляр был положен поверх тела рукоятью у бедра и кончиком лезвия над лицом.

Меч настолько хрупкий, что пока даже неясно, как он выглядит с обратной стороны. Однако команда не собирается останавливаться и планирует продолжить изучение находки.

Напомним, что недавно в Дании исследователи нашли серьгу вождя викингов, возраст которой составляет 1000 лет. До сегодняшнего дня во всем мире было обнаружено лишь несколько таких артефактов.