На День святого Валентина мимо Земли пронесется астероид-убийца городов: чего ждать

астероид
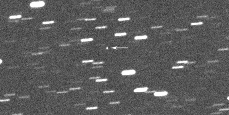
Фото: Gianluca Masi/Virtual Telescope Project

Астероид подойдет к планете ближе, чем любой другой опасный космический объект за последние 120 лет.

Впервые астероид BR4 2024 был замечен 30 января на расстоянии в 12 млн км от Земли, но ожидается, что он сократит это расстояние более чем вдвое, пишет Daily Star.

Согласно данным ученых, объект подойдет на рекордное расстояние в 4,2 млн км к нашей планете 14 февраля. Таким образом, астероид BR4 2024 подойдет ближе, чем любой другой опасный космический объект за последние 120 лет.

Скорее всего, такого пролета, несмотря на то, что он будет действительно близким, будет недостаточно, чтобы сорвать планы на День святого Валентина. Но в NASA следят за объектом уже на протяжении последних нескольких недель.

Відео дня

У Фокус. Технологии появился свой Telegram-канал. Подписывайтесь, чтобы не пропускать самые свежие и захватывающие новости из мира науки!

Пока удалось собрать не слишком много данных об этом астероиде. На данный момент известно, что его длина составляет около 300 метров, что выводит объект список астероидов-убийц городов.

Специалисты NASA относят астероиды к категории опасных, если они приближаются к Земле на расстояние 7,5 млн км, а яркость объекта говорит о том, что его ширина превышает 100 метров.

Для астероида BR4 2024 пока нет подтвержденной яркости, хотя ресурс VirtualTelescope опубликовал яркое пятно, указывающее на астероид.

Предварительный анализ показывает, что размер астероида достаточно большой, и 14 февраля он пролетит мимо Земли. NASA также собирается рассчитать траекторию его дальнейшего полета, чтобы знать наверняка, не врежется ли этот астероид в планету в будущем.

Напомним, стоит ли бояться падения астероида на Землю в 2046 году. Нашумевшая новость о том, что крупный астероид врежется в нашу планету через 23 года получила свое продолжение в виде нового прогноза NASA.