Жуткий знак. За мгновения до того, как ураган Милтон обрушился на берег, в небе появился череп

ураган, ураган милтон, милтон ураган
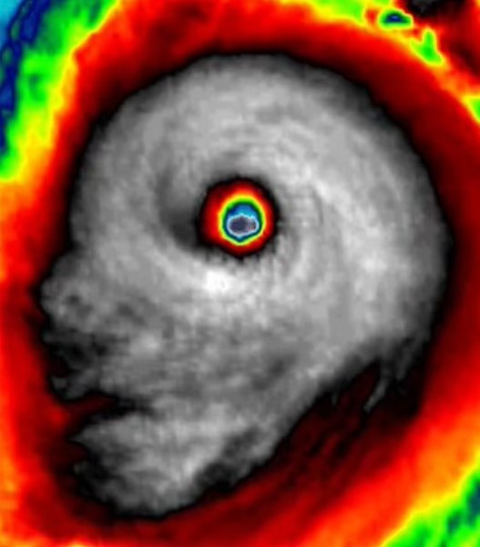
За мгновение до выхода на берег ураган принял форму черепа | Фото: X (Twitter)

Метеорологи запечатлели жуткий череп, форму которого ураган принял всего за несколько мгновений до того, как обрушиться на Флориду.

Климатический кризис, нависший над планетой, не только обрушил на мир волны тепла, засухи и лесных пожаров, но также сделал ураганы и наводнения более экстремальными, чем когда-либо. Ученые предупредили, что в этом году нас ждет особенно экстремальный сезон ураганов, а количество названых штормов будет так велико, что нам едва ли хватит имен, пишет Daily Mail.

Одним из таких экстремальных штормов стал ураган Милтон, который менее чем за 24 часа превратился из слабого шторма в сильный ураган категории 5. 10 октября ураган Милтон обрушился на Флориду, как и ожидали метеорологи.

У Фокус. Технологии появился свой Telegram-канал. Подписывайтесь, чтобы не пропускать самые свежие и захватывающие новости из мира науки!

Відео дня

Теперь старший метеоролог Weather Channel Сту Остро поделился жутким фото, показав, что всего за несколько мгновений до того как ураган обрушился на Флориду, он принял форму черепа. Нечто подобное, к слову, произошло и в 2016 году, когда ураган Мэтью принял схожую форму.

На фото видно, будто ураган Милтон "смотрит с жуткой ухмылкой" прежде чем вспениться в заливе и устремиться в сторону Флориды. Зловещее изображение появилось за несколько мгновений до того, как Милтон обрушился на штат, вызвав разрушительные наводнения и ветры. В сети также появилось видео спутникового радара, на котором видно, когда ураган Милтон трансформировался в зловещую форму.

Любопытно, что ранее эксперты описали ураган Милтон как "монстрический" шторм, что делает спутниковый снимок еще более подходящим. Известно, что ураган обрушился на побережье недалеко от Сарасоты в среду вечером как шторм категории 3. В результате он породил около 150 торнадо и обрушил на штат до 50 сантиметров осадков, при этом скорость порывов ветра достигала более 160 км/час.

милтон, ураган милтон, шторм милтон
За мгновение до выхода на берег ураган принял форму черепа
Фото: X (Twitter)

Последствия урагана все еще подсчитываются, однако известно, что миллионы людей во Флориде все еще остаются без электричества. Впрочем, эксперты отмечают, что полный масштаб ущерба все еще неизвестен, но отчеты указывают на обширные разрушения, оборванные линии передач и уничтоженные дома.

В четверг шторм переместился обратно в море, однако исследователи предупреждают, что опасность еще не миновала. В действительности ураган Милтон все еще может затопить часть местного побережья.

Ранее Фокус писал о том, что поразительно мощный ураган запечатлели из космоса: как выглядит шторм с высоты птичьего полета.