Розділи
Матеріали

Як шуліка над здобиччю: найпотужніший за останні 60 років супертайфун "Мавар" кружляє навколо Гуама

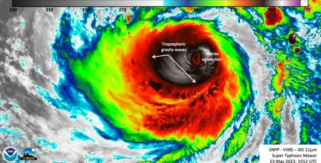
Інфрачервоний знімок супертайфуну "Мавар" | Фото: NOAA/NASA

Дослідники спостерігали, як потужний супертайфун наближається до американської острівної території.

24 травня метеосупутники відстежили шторм категорії 4, також відомий як супертайфун "Мавар", який наближався до острівної американської території Гуам. Відомо, що він викликав швидкість вітру до 225 кілометрів за годину під час руху на північний захід повз Гуам, пише Space.

У Фокус. Технології з'явився свій Telegram-канал. Підписуйтесь, щоб не пропускати найсвіжіші та найзахопливіші новини зі світу науки!

Відомо, що тайфун був такої сили, що відключив електрику на значній частині острова, через що Білому дому довелося оголосити надзвичайний стан на цій території для допомоги під час стихійних лих.

За даними Національного управління океанічних і атмосферних досліджень (NOAA), супертайфун "Мавар" став найсильнішим штормом, що обрушився на острів за останні 60 років.

Дослідники за допомогою супутників спостерігали за тим, як шторм обрушився на Гуам, а потім кружляв над ним, ніби шуліка над здобиччю, бовтаючись над відкритими водами Тихого океану. Згодом супутникові знімки показали, що тайфун продовжив рух на північний захід у бік Філіппінського моря.

Дослідники NOAA поділилися інтервальною зйомкою інфрачервоних знімків за чотири дні, протягом яких вирував тайфун "Мавар". Знімки були отримані за допомогою японського метеорологічного супутника Himawari 9. На анімації можна побачити, як лютий вихор шторму вирує над Тихим океаном.

Крім того, супутник Європейського космічного агентства Sentinel-3 спостерігав супертайфун у видимому світлі, показуючи гігантські масштаби шторму, коли він обрушився на острів Гуам. Передбачається, що 26 травня супертайфун посилиться, оскільки він рухається із заходу на північний захід зі швидкістю близько 9,6 км/година.

Раніше Фокус писав про те, що потужний ураган "Ян" висмоктав усю воду з гирла затоки Тампа.