Підтримайте нас

МИ В СОЦМЕРЕЖАХ:

Астрономи зробили найбільш чіткі знімки Місяця та збираються розглянути Уран і Нептун

місяць
Фото: moon

Учені успішно протестували радіолокаційний передавач, який дозволить заглянути на задвірки Сонячної системи.

Астрономи зробили приголомшливі радіолокаційні зображення Місяця з високою роздільною здатністю, використовуючи експериментальний інструмент на наземному телескопі. Про це повідомляє New Atlas.

За словами вчених, нова концепція прокладає шлях для більш потужного радіолокаційного телескопа, який зміг би побачити Нептун.

Нова технологія була розроблена обсерваторією Грін-Бенк (GBO), Національною радіоастрономічною обсерваторією США (NRAO) і компанією Raytheon Intelligence & Space.

Експериментальний радіолокаційний передавач був встановлений на радіотелескопі Грін-Бенк (GBT), що дозволило йому спрямувати радіолокаційні сигнали в космос. Потім відбиті сигнали вловлюють серією радіоантен на Землі, що встановлені по всій Північній Америці, і обробляються для отримання зображень.

Відео дня
місяць
Фото: moon

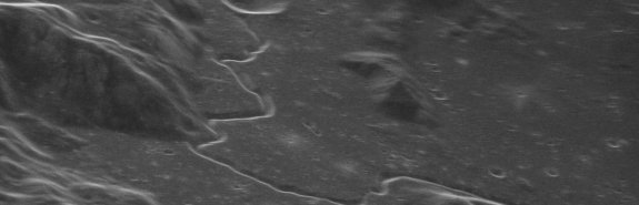
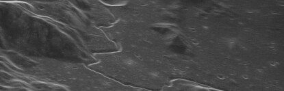
Команда провела перше випробування концепції, і результати виявилися неймовірними. Отримане великомасштабне зображення Місяця дозволяє збільшувати масштаб окремих деталей на поверхні, аж до об'єктів розміром до 5 м у ширину. Наприклад, недалеко від місця посадки місії Apollo 15 можна чітко побачити давню лавову трубу під назвою Хедлі Рілль, яка проходить між горами і кратером по сусідству.

Грунтуючись на цьому тесті, команда збирається розробити радарну систему потужністю 500 кВт, яка зможе відображати більш далекі об'єкти в Сонячній системі. У кінцевому підсумку, за словами дослідників, радіолокаційний телескоп нового покоління зможе давати зображення об'єктів на таких віддалених планетах, як Уран і Нептун.

"Запланована система стане кроком уперед у радіолокаційній науці, дозволяючи отримати доступ до невидимих раніше особливостей Сонячної системи прямо тут, на Землі", — говорить глава обсерваторії Грін-Бенк Карен О'Ніл.