Підтримайте нас

МИ В СОЦМЕРЕЖАХ:

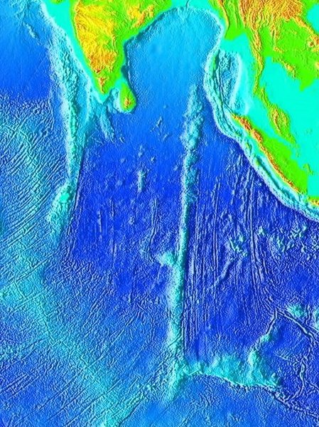
Породження гарячих точок Землі: під товщею води знайде хребет несподіваного походження (фото)

індійський океан, гірський хребет, морський гірський хребет
В Індійському океані знаходиться гірський хребет довжиною 5 000 метрів | Фото: Wikimedia Commons

В Індійському океані знайдено гірський хребет протяжністю близько 5 000 кілометрів, прихований під товщею води — тепер ми знаємо, як він утворився.

Океан вкриває більшу частину поверхні планети та приховує в собі неймовірну кількість таємниць — фактично вчені змогли картографувати лише малу площу морського дна. У новому дослідженні вченим вдалося проникнути глибоко під товщу води, щоб показати, як Східно-Древній хребет, який, як вважається, утворився між 43 і 83 мільйонами років тому і має протяжність близько 5 000 кілометрів, пише Science Alert.

Підводні гори являють собою вулкани, приховані під поверхнею води, і їх можна виявити в кожному із земних океанів. Всі вони є породженням "гарячих точок" під поверхнею Землі, де тепло, що накопичується, розплавляє мантію планети, вивільняючи гарячі струмені у вигляді трубоподібного висхідного потоку.

Відео дня

У Фокус. Технології з'явився свій Telegram-канал. Підписуйтесь, щоб не пропускати найсвіжіші та найзахопливіші новини зі світу науки!

Спочатку вчені вважали, що "гарячі точки" можуть рухатися, а тому вважалося, що слід з вулканів під водою є результатом ковзання тектонічних плит по вершині нерухомої гарячої точки. Але дослідникам здавалося, що підводний вулканічний ланцюг Індійського океану, ймовірно, утворився інакше.

гірський хребет формування
A: Етап I від ~83 до 66 млн років тому. B: Етап II від ~66 до 62 млн років тому
Фото: Nature Communications

За словами геолога Г'юго Олірука з Університету Кертіна в Австралії, на відміну від більшості вулканічних гарячих точок, що залишаються нерухомими в мантії та створюють вулканічні сліди, коли по них дрейфують тектонічні плити, нове дослідження показує, що гаряча точка, відповідальна за формування Східно-Древнього хребта, з часом перемістилася на кілька сотень кілометрів у земній мантії.

Команда зазначає, що подібні рухи гарячих точок вважаються звичайним явищем, але їх важко довести. Ба більше, раніше подібний рух було продемонстровано тільки для кількох гарячих точок у Тихому океані, що робить цей випадок першим задокументованим в Індійському океані.

Відомо, що гаряча точка Кергелен відповідальна за створення вертикального підводного шраму Індійського океану, а непереконливі дослідження припускають, що вона могла зміститися на південь або захід з плином часу.

формування гірський хребет
C: Етап III від ~62 до 53 млн років тому. D: Етап IV від ~53 до 46 млн років тому
Фото: Nature Communications

У новому дослідженні міжнародна команда з Австралії, Швеції, Китаю та США проаналізувала зразки базальту зі Східно-Древнього хребта, щоб підтвердити цю ідею. Результати нової роботи показали, що мантійний плюм Кергелен був створений, коли Індійська плита почала дрейфувати на північ, відкриваючи Індійський океан.

Якби гаряча точка Кергелен залишалася нерухомою під Індійською плитою під час цього руху, то хребет зміщувався б на північ із тією самою швидкістю, що й розширення морського дна. Але цього, як показують результати дослідження, не сталося.

Радіоізотопне датування показало, що вершини гірського хребта були створені приблизно зі швидкістю, вдвічі меншою за швидкість розширення морського дна. Це означає, що "гаряча точка Кергелен не була зафіксована під Індійською плитою".

гірський хребет, гірський хребет в океані, океан гірський хребет
Східно-Дів'яностий хребет Індійського океану
Фото: Wikimedia Commons

Автори дослідження також зазначають, що все ще незрозуміло, чому гаряча точка рухалася з такою швидкістю. Однак найімовірніший сценарій полягає в тому, що мантійний плюм був захоплений Індо-Антарктичним спрединговим хребтом, який мігрував на північ Індо-Антарктичним спрединговим хребтом. Вчені також виявили, що матеріали плюму безперервно текли до спредингового хребта і вивергалися на ньому.

Близько 66 мільйонів років тому плюм віддалився, коли дрейфував занадто далеко, а потім знову був тимчасово захоплений, цього разу спрединговим хребтом.

Близько 66 мільйонів років тому плюм був "відключений", коли спрединговий хребет почав дрейфувати занадто далеко. Пізніше плюм був тимчасово знову захоплений, цього разу західним спрединговим хребтом.

Раніше Фокус писав про те, що в Тихому океані ховаються "велетні": вчені не знали про їхнє існування.