Все школьные мероприятия в округе были отменены
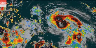
На американскую Флориду надвигается ураган Дориан, в связи с которым президент Дональд Трамп объявил чрезвычайное положение на территории штата.
Об этом сообщает CNN.
Действия Трампа "уполномочивают Департамент внутренней безопасности Федерального агентства по чрезвычайным ситуациям (FEMA) координировать все усилия по оказанию помощи при бедствиях", – говорится в заявлении Белого дома.
Все школьные мероприятия в округе были отменены.
Жители Флориды, Джорджии и других южных штатов запасаются продуктами последние два дня, как стало известно о приближении непогоды.
Как ранее сообщал Фокус:
- Трамп предлагает бороться с ураганами ядерными бомбами. Глава США предлагал эту идею не раз.
- А в Мадрид затопило ливнем, засыпало градом, а рядом прошелся торнадо. Ураган налетел на регион Испании вечером 26 августа.
-
Президент США Дональд Трамп отменил поездку в Польшу на годовщину начала Второй мировой войны. Он должен был встретиться с Владимиром Зеленским.