Самый сильный шторм 2025 года: ураган Мелисса заставил охотников за ураганами держаться в стороне

ураган мелисса из космоса
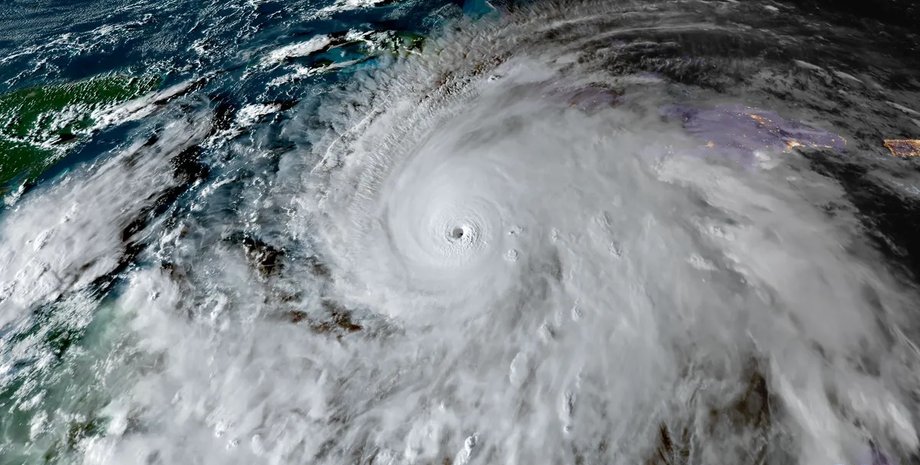
Ураган Мелисса движется к Ямайке, снимок спутника GOES-19 от 27 октября | Фото: NOAA

Исследователи отмечают, что ураган Мелисса официально признан самым сильным штормом нынешнего года. Наблюдения показывают, что турбулентность оказалась настолько высокой, что охотники за ураганами были вынуждены оставить его без внимания.

Ураган Мелисса официально признан сильнейшим штормом 2025 года. Медленно продвигаясь к Карибскому региону, шторм резко усилился и достиг 5-й категории, а затем, вероятно, обрушится на Ямайку, где причинит значительный ущерб, пишет IFLScience.

У Фокус. Технологии появился свой Telegram-канал. Подписывайтесь, чтобы не пропускать самые свежие и захватывающие новости из мира науки!

Самый сильный шторм 2025 года

Исследователи отмечают, что ураган Мелисса официально был признан ураганом 5-1 категории ранним утром 27 октября, после того, как его сила стремительно выросла по мере приближения к Ямайке. Это поставило его в высшую категорию по шкале Саффира-Симпсона.

Відео дня

Отметим, что категория 5 подразумевает скорость более 252 км/ч. При этом скорость ветра урагана Мелисса составила около 280 км/ч, что сделало его самым сильным штормом в 2025 году. Несмотря на то, что ураган Мелисса может легко сохранить этот титул с окончанием сезона ураганов, ученые считают, что он едва ли станет последним штормом такой силы в долгосрочной перспективе, если не будут достигнуты цели по борьбе с изменением климата.

Предыдущие исследования показали, что глобальное потепление привело к повышению интенсивности тропических циклонов, а потому штормы в будущем будут становиться лишь масштабнее и экстремальнее. Увы, эту тенденцию же можно наблюдать.

В эпицентре бури

Охотники за ураганами Национального управления океанических и атмосферных исследований (NOAA) охотятся за штормами, чтобы заснять их мощь и масштаб. Эта команда опытных пилотов, специалистов и ученых летает в зону штормов, чтобы собрать данные для прогнозирования и исследований. Такие исследования могут включать и прямое попадание в эпицентр урагана. Но не в этот раз.

Утром 27 октября самолету, занимающемуся поиском ураганов пришлось покинуть зону шторма раньше запланированного срока из-за сильной турбулентности в юго-западной части "глаза". По словам Энди Хейзелтона, который в тот момент оказался на борту, он впервые оказался в самом центре урагана 5-й категории. Исследователи столкнулись с невероятной турбулентностью. В результате ученым пришлось завершить наблюдения.

Отметим, наблюдения за ураганом Мелисса также велись из космоса. На потрясающей серии снимков, сделанных спутником GOES-19 в понедельник, видна мощная гроза, бушующая в центре шторма.

Напомним, ранее мы писали о том, что ураган Эрнесто на скорости 137 км/час запечатлели из космоса.

Ранее Фокус писал о том, как мощные ураганы влияют на жизнь животных в океане.