Підтримайте нас

МИ В СОЦМЕРЕЖАХ:

Перша у світі підводна вулканічна обсерваторія готується вивергнутися: коли це станеться

вулкан, підводний вулкан
Учені пророкують виверження підводного вулкана у 2025 році | Фото: Dudarev Mikhail/Shutterstock

Дослідники прогнозують, що підводний вулкан може вивергнутися вже цього року — спостерігачі помітили перші ознаки.

Вулкан Аксікал являє собою підводну гору за 480 кілометрів на захід від Кеннон-Біч (Орегон, США). Ця підводна гора вивергається регулярно — спостереження показують, що вона прокидалася в 1998, 2011 і 2015 роках — і не становить загрози для людей. Тепер, схоже, підводний вулкан готується знову вивергнутися, пише Live Science.

Регулярна активність підводної гори та її відносна близькість до суші змусила вчених зробити це місце першою у світі підводною вулканічною обсерваторією, відомою як Обсерваторія нового тисячоліття.

У Фокус. Технології з'явився свій Telegram-канал. Підписуйтесь, щоб не пропускати найсвіжіші та найзахопливіші новини зі світу науки!

Відео дня

Вчені постійно спостерігають за моніторами, розташованими на Аксікалі, і помітили, що поверхня підводної гори здувається — ознака рухомої магми. На думку геолога з Університету штату Орегон, який вивчає вулкан і його прилеглі гідротермальні джерела, Вільяма Чедвіка, ознаки вказують на те, що підводний вулкан, імовірно, вивергнеться вже нинішнього року.

Дані вказують на те, що поверхня вулкана вже піднялася до 95% від того, що спостерігалося під час виверження 2015 року. Активність підводної гори наступила за періодом затишшя між 2015 і 2023 роками — протягом цього періоду гора навряд чи зрушила з місця.

Новий підйом, за словами вчених, почався восени 2023 року і посилився в січні 2024 року. Учені зафіксували, що земля підіймалася зі швидкістю близько 25 сантиметрів на рік. Чедвік також зазначає, що пробудження підводного вулкана супроводжувалося роями сотень невеликих землетрусів, але з середини 2024 року ситуація трохи стабілізувалася.

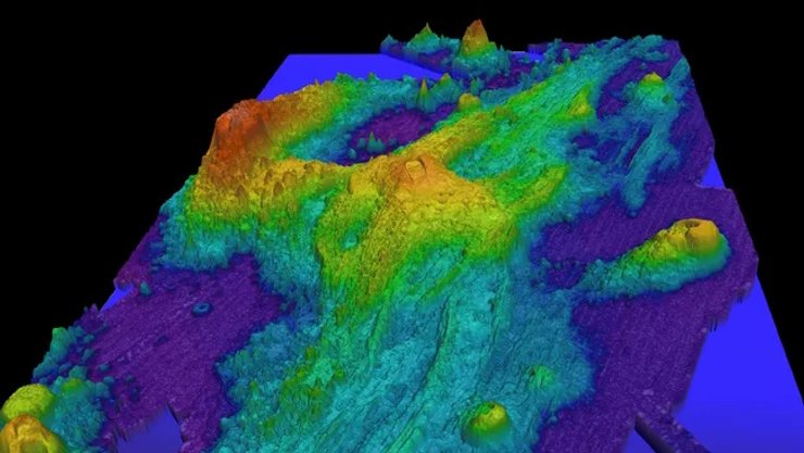
вулкан, вулкан аксікал, аксікал вулкан
Батиметрична карта вулкана Аксіал
Фото: NOAA

Дослідники зазначають, що рівень підйому був стабільним протягом останніх 6 місяців, а рівень сейсмічної активності знизився. У результаті вчені не можуть стверджувати, що виверження неминуче відбудеться, але така активність також не може тривати вічно. На думку співавтора дослідження, геофізика з Університету Північної Кароліни Скотта Нунера, підводний вулкан, ймовірно, вивергнеться до кінця 2025 року.

Автори дослідження сподіваються, що їхній прогноз правильний, оскільки Аксікал — перспективне місце для розробки закономірностей, які вулкан відчуває перед самим виверженням. Той факт, що вулкан уже кілька разів вивергався за останні десятиліття, а не століття, також спрощує розпізнавання закономірностей.

Зазначимо, що виверження підводного вулкана Аксікал не загрожує життю і майну людей. Вулканологи наразі можуть робити точні короткострокові прогнози вивержень, але, згідно зі Смітсонівською програмою глобального вулканізму, прогнози рідко бувають надійними більш ніж на кілька днів уперед.

Раніше Фокус писав про те, що передбачити виверження вулкана допоможе "кристалічний годинник".