Впервые в мире морской робот C-Star выполнил миссию внутри урагана. Что он сделал (фото)

Морской робот C-Star
Дрон C-Star | Фото: NOAA

Компактный морской робот C-Star, работающий на ветровой энергии, стал первым беспилотным надводным аппаратом, который собрал и передал данные изнутри урагана 5 категории.

Роботы C-Star предназначены для сбора метеорологических данных с поверхности океана. В испытании, проведенном Национальным управлением океанических и атмосферных исследований США (NOAA) совместно с британской компанией по разработке робототехники Oshen и Университетом Южного Миссисипи, приняли участие 7 таких аппаратов, говорится на сайте NOAA.

Морской дрон C-Star
Робот C-Star
Фото: NOAA

Сообщается, что во время урагана "Умберто" один из C-Stars стал самым маленьким беспилотным судном, которое собирало данные из эпицентра урагана 5-й категории. Два других C-Stars проникли в ураган "Умберто", чтобы собрать данные, когда он превратился в шторм 4-й категории.

Відео дня

Один из аппаратов C-Star зафиксировал минимальное давление воздуха 955 миллибар и порывы ветра ураганной силы более 240 км в час внутри "Умберто". Измерения низкого давления воздуха вместе с увеличением солнечного света, зафиксированным C-Star, подтвердили, что робот прошел сквозь эпицентр урагана.

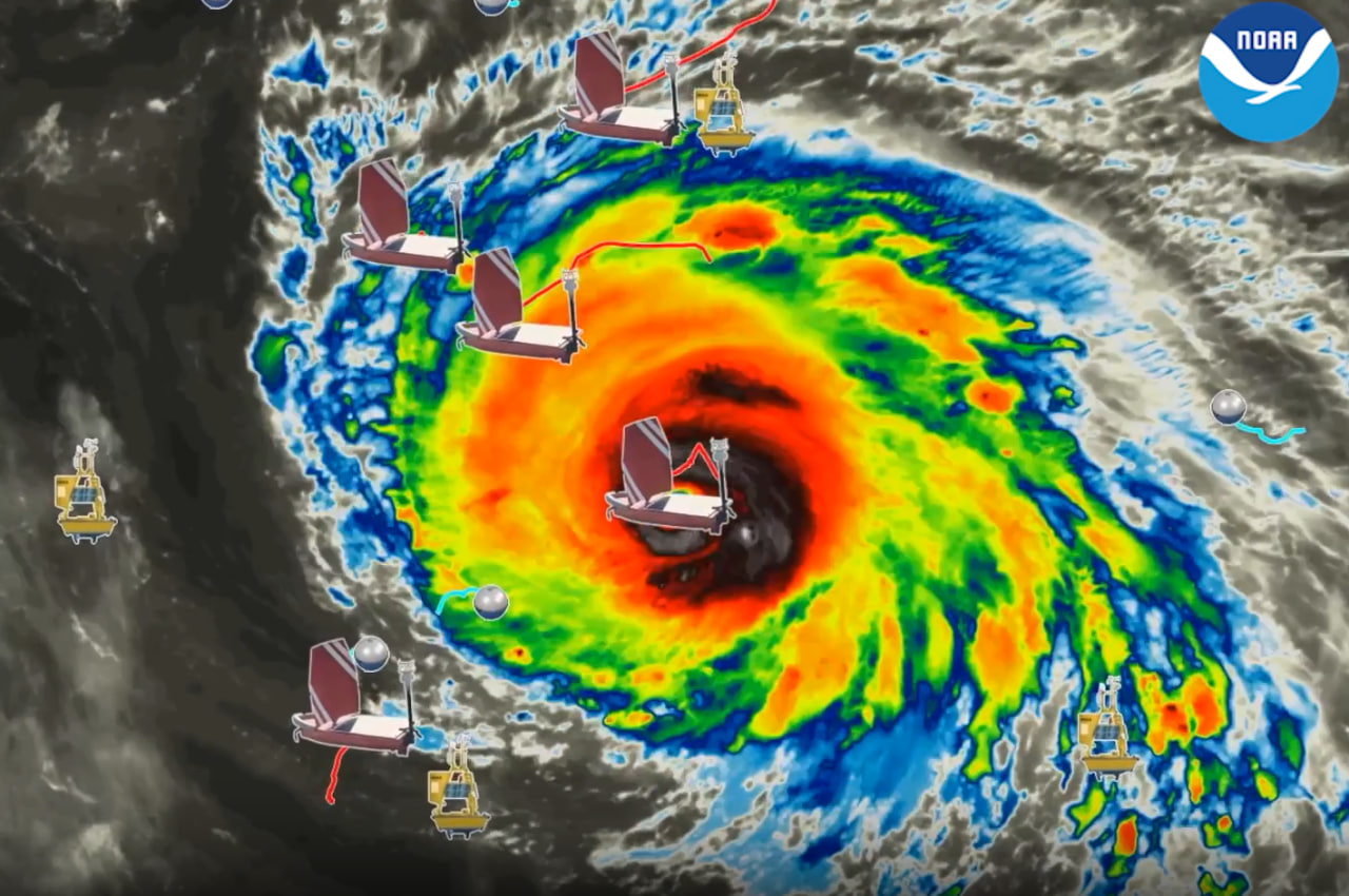
Расположение Oshen C-Star в Атлантическом океане
Расположение роботов C-Star относительно урагана "Умберто"
Фото: NOAA

"C-Stars собрали ценные данные из самой сильной части урагана Умберто и успешно передали их почти в режиме реального времени. Это открывает возможность более рутинного использования C-Stars для сбора данных об ураганах в будущем для поддержки исследований и прогнозирования ураганов", — сказал Грег Фольц, океанограф Атлантической океанографической и метеорологической лаборатории NOAA.

Фото с морского робота C-Star
Изображение, полученное C-Star внутри урагана "Умберто"
Фото: NOAA

Робот C-Star: что о нем известно

C-Star — это морской робот длиной около 1,2 м, оснащенный датчиками на солнечной энергии, которые каждые две минуты передают данные в режиме реального времени о скорости и направлении ветра, температуре поверхности моря, температуре воздуха, давлении воздуха и относительной влажности.

Важно
В Польше показали "боевого лебедя": что известно о необычном дроне Kaczka (фото)

Информация транслируется ученым или синоптикам через спутник. Кроме того, C-Star способен делать фотографии, которые пересылаются немедленно, и видео, которые можно просмотреть после того, как беспилотное судно вернется из миссии.

"C-Stars успешно предоставляют данные в самой мощной категории ураганов. Эти показатели превзошли даже наши ожидания и подтверждают концепцию развертывания нескольких недорогих датчиков для обеспечения постоянного мониторинга на больших территориях", — сказала Анахита Лаверак, главный исполнительный директор Oshen.

Напомним, компания Rheinmetall испытала наземного робота-амфибию Mission Master, способного выбраться на сушу после падения в океан.

Фокус также сообщал, что в Польше испытали украинские наземные дроны Protector и БПЛА UB60D на учениях "Огненная Буря".