Підтримайте нас

МИ В СОЦМЕРЕЖАХ:

Вперше у світі морський робот C-Star виконав місію всередині урагану. Що він зробив (фото)

Морський робот C-Star
Дрон C-Star | Фото: NOAA

Компактний морський робот C-Star, що працює на вітровій енергії, став першим безпілотним надводним апаратом, який зібрав та передав дані зсередини урагану 5 категорії.

Роботи C-Star призначені для збору метеорологічних даних з поверхні океану. У випробуванні, проведеному Національним управлінням океанічних і атмосферних досліджень США (NOAA) спільно з британською компанією з розробки робототехніки Oshen та Університетом Південного Міссісіпі, взяли учать 7 таких апаратів, йдеться на сайті NOAA.

Морський дрон C-Star
Робот C-Star
Фото: NOAA

Повідомляється, що під час урагану "Умберто" один із C-Stars став найменшим безпілотним судном, яке збирало дані з епіцентру урагану 5-ї категорії. Два інших C-Stars проникли в ураган "Умберто", щоб зібрати дані, коли він перетворився на шторм 4-ї категорії.

Один із апаратів C-Star зафіксував мінімальний тиск повітря 955 мілібар та пориви вітру ураганної сили понад 240 км на годину всередині "Умберто". Вимірювання низького тиску повітря разом зі збільшенням сонячного світла, зафіксованим C-Star, підтвердили, що робот пройшов крізь епіцентр урагану.

Відео дня
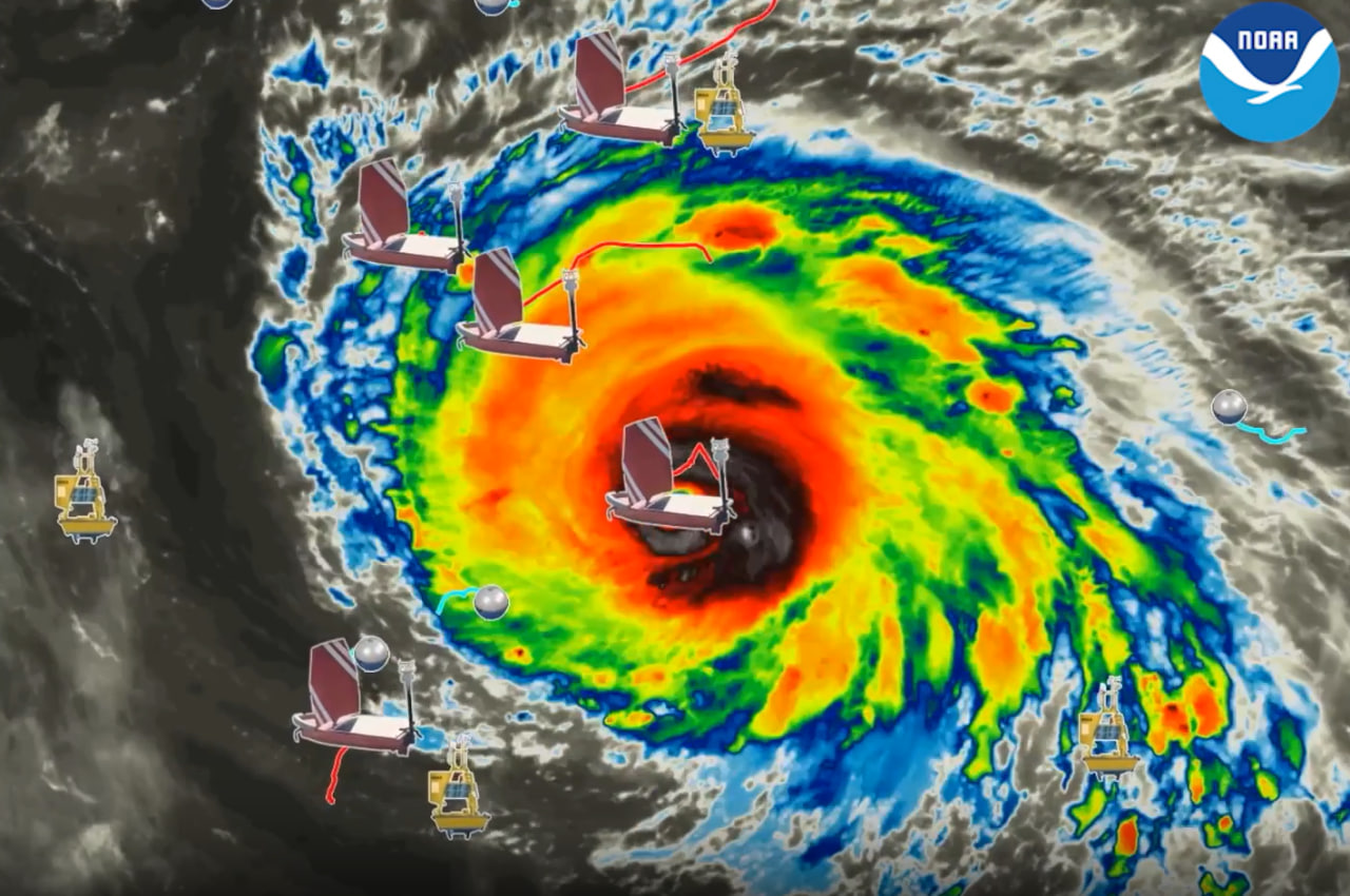
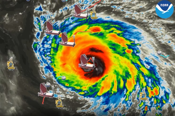
Розташування Oshen C-Star в Атлантичному океані
Розташування роботів C-Star щодо урагану "Умберто"
Фото: NOAA

"C-Stars зібрали цінні дані з найсильнішої частини урагану Умберто та успішно передали їх майже в режимі реального часу. Це відкриває можливість більш рутинного використання C-Stars для збору даних про урагани в майбутньому для підтримки досліджень та прогнозування ураганів", – сказав Грег Фольц, океанограф Атлантичної океанографічної та метеорологічної лабораторії NOAA.

Фото з морського робота C-Star
Зображення, отримане C-Star всередині урагану "Умберто"
Фото: NOAA

Робот C-Star: що про нього відомо

C-Star – це морський робот довжиною близько 1,2 м, оснащений датчиками на сонячній енергії, які кожні дві хвилини передають дані в режимі реального часу про швидкість і напрямок вітру, температуру поверхні моря, температуру повітря, тиск повітря та відносну вологість.

Важливо
В Польщі показали "бойового лебедя": що відомо про незвичайний дрон Kaczka (фото)

Інформація транслюється вченим чи синоптикам через супутник. Окрім того, C-Star здатен робити фотографії, що пересилаються негайно, та відео, які можна переглянути після того, як безпілотне судно повернеться з місії.

"C-Stars успішно надають дані в найпотужнішій категорії ураганів. Ці показники перевершили навіть наші очікування та підтверджують концепцію розгортання кількох недорогих датчиків для забезпечення постійного моніторингу на великих територіях", – сказала Анахіта Лаверак, головний виконавчий директор Oshen.

Нагадаємо, компанія Rheinmetall випробувала наземного робота-амфібію Mission Master, здатного вибратися на сушу після падіння в океан.

Фокус також повідомляв, що у Польщі випробували українські наземні дрони Protector та БПЛА UB60D на навчаннях "Вогняна Буря".