ЧП под Ичней, непобедимая сборная Шевченко и затерянный мир у берегов Тасмании. Неделя в Фокусе

Фото: УНИАН
Фото: УНИАН

Актуальная аналитика, ключевые новости и авторские колонки – в итогах недели от журнала Фокус

Игра в одну воронку. Под звуки взрывающихся боеприпасов СБУ подрывает доверие международных партнеров

Последние недели одним из главных поставщиков международных новостей является президент Беларуси Александр Лукашенко. Его, "последнего диктатора Европы", пригласил посетить с визитом Париж президент Франции Эмманюэль Макрон. С ним не один раз встретился за это время "первый диктатор Европы" – президент РФ Владимир Путин. Именно по этой причине – нескончаемых переговоров между Лукашенко и Путиным – президент Беларуси вышел из тени и привлек к себе внимание.

Но с Лукашенко встречается не только Путин – третий президент Украины Виктор Ющенко тоже посетил Минск. Официальная версия – обсуждался ряд двусторонних вопросов. В каком качестве Ющенко обсуждает с Лукашенко межгосударственные вопросы – остается только гадать. Очевидно, чтобы отвлечь наблюдателей от поисков истины в этом направлении, президент Беларуси сделал ложный замах – обвинил Украину в больших потоках контрабандного оружия, поступающего в его страну через украинскую границу.

Відео дня

Так или иначе, Лукашенко сумел произвести информационный шум, привлекший внимание к его персоне и отвлекший внимание от целей визита Ющенко в Минск. Но Украина тоже всегда найдет повод вызвать интерес к себе, если дело касается сферы обороны и безопасности.

На этот раз известность получил поселок городского типа Дружба Ичнянского района Черниговской области, который стал побратимом села Новобогдановка Запорожской области, города Сватово Луганской области, города Балаклея Харьковской области, города Калиновка Винницкой области. В этих населенных пунктах расположены большие склады боеприпасов, имеющих свойство взрываться или по причине халатности личного состава, или – как убеждают общественность прокурорские работники и сотрудники Службы безопасности Украины – в результате диверсий наиболее вероятного противника.

Что касается СБУ, то международные партнеры в очередной раз напомнили Киеву, что спецслужба должна отказаться от расследования преступлений в сфере экономики, а посвятить себя противодействию подрывной деятельности против Украины, борьбе с терроризмом, контрразведывательной работе по защите конституционного строя и территориальной целостности, оборонного и научно-технического потенциала, кибербезопасности, безопасности объектов критической инфраструктуры, охране государственной тайны. Во всяком случае, НАТО так считает и устами своих представителей напоминает руководству страны о необходимости неотложной реформы СБУ.

Учительская "Нобелевка", протест против повышения цен на бензин и печальная статистика самоубийств

7 октября состоялась церемония награждения лауреатов премии Global Teacher Prize Ukraine. Она отмечает лучших педагогов и проходит в Украине уже второй год подряд. Победителем в этой учительской "Нобелевке" в этом году стал 29-летний Александр Жук, учитель информатики из Запорожья. Поговорив с ним, Фокус узнал, как работают педагоги нового поколения, а также выяснил, как проходит процедура отбора лучших учителей страны.

Во вторник неонацистская организация С14 заявила о попытке покушения на ее координатора Сергея Мазура: в окно его квартиры в Борисполе бросили гранату. Пострадал отец Мазура, который находился в комнате, врачи сообщили, что его жизнь вне опасности. Члены С14 потребовали от МВД "надлежащего расследования" инцидента, а заодно совершили нападение на журналистку телеканала NewsOne, освещавшую их акцию.

10 октября Минздрав обнародовал печальную статистику: Украина входит в топ-25 стран мира с самыми высокими показателями смертности вследствие самоубийства, хотя они и снизились в сравнении с 2005 годом почти вдвое. В прошлом году покончили жизнь самоубийством 6,5 тыс. украинцев.

Реакцией на подорожание топлива стал призыв к флешмобу, разошедшийся по соцсетям. Его участникам предложили выразить свое недовольство, остановившись на дорогах с 9:00 до 10:00 четверга, парализовав тем самым движение. Организаторы заявили, что инициативу поддержали "не только владельцы легковых автомобилей, но и водители маршрутных такси и рейсовых автобусов, грузовиков, фур, скорой помощи и полицейские". Акция прошла в разных регионах страны, кое-где она сумела привлечь внимание людей, угодивших в пробки.

В Украине зафиксировали очередное массовое отравление. 56 человек, из которых 44 ребенка, угодили в больницу из детсада, расположенного в Нетешине Хмельницкой области. В столовой детсада обнаружили сальмонеллу энтеритидис — на овощах (капусте, моркови, овощном рагу, яблоках), на столах, досках для нарезки мяса, а также на отдельных предметах в детских комнатах.

Распродажа от ПриватБанка и долги украинцев. Что сулит отечественная экономика

Украинцы живут в долг, и с каждым годом эта сумма растет. На конец сентября задолженность домохозяйств перед коммерческими банками в Украине составила 197,4 млрд грн. По данным НБУ за последний год (по сравнению с сентябрем 2017 года) задолженность возросла на 27,2 млрд грн.

Также по данным НБУ, в национальной валюте украинцы были должны банкам 127,4 млрд грн, в иностранной валюте – 70,0 млрд грн в эквиваленте.

А тем временем, продолжается работа над бюджетом на следующий год. Министерство финансов приступило к рассмотрению предложений народных депутатов к проекту госбюджета на 2019 год. Об этом в Facebook сообщила и.о. министра финансов Оксана Маркарова.
"Минфин сегодня получил сведенные бюджетные предложения к проекту государственного бюджета на 2019 год. 2171 - общее количество предложений, на 578 страницах", – написала она.

Как мы уже писали ранее, практически все опрошенные Фокусом эксперты высказали опасения, что относительно взвешенный и реалистичный проект госбюджета 2019 могут разрушить политические торги в парламенте и, как следствие, произойдет неоправданное раздувание расходов.

Главным ньюсмейкером начала недели стал государственный ПриватБанк. "ПриватБанк объявил конкурс по отбору украинских и международных компаний для привлечения потенциальных инвесторов при продаже ряда крупных объектов, находящихся на балансе банка", – сообщили в банке.

Отмечается, что банк намерен предложить инвесторам свою долю в горнолыжном курорте "Буковель", отель "Radisson Blu Resort Буковель", футбольный стадион и тренировочную базу в Днепре. Также ПриватБанк выставит на продажу столичную гостиницу "Мир" и торгово-развлекательный комплекс "Приозерный" в Днепре. К участию в конкурсе банк приглашает украинские и международные компании с опытом оказания консалтинговых услуг по продаже активов на украинском рынке и успешными продажами таких объектов в Украине и за рубежом. Сроки конкурса - с 8 по 22 октября текущего года.

Самая важная половина, затерянный мир и последний труд Стивена Хокинга

Три года назад 196 стран мира пришли к единодушному мнению, что проблему глобального потепления нужно решать. Они согласились работать над сокращением вредных выбросов, чтобы не позволить средней температуре на Земле вырасти больше, чем на 2˚С. В идеале удержать ее повышение в пределах 1,5˚С. Стремление было закреплено Парижским климатическим соглашением.

Сегодня слово взяли ученые из Межправительственной группы экспертов ООН по изменению климата (МГЭИК). Они опубликовали доклад, при помощи которого стремятся донести до мировых правительств мысль: о щадящей отметке в 2˚С нужно забыть и стремиться к идеальной. Насколько критичной может быть разница в 0,5˚С? Если вкратце, то эта половина градуса отделает мир от катастрофических изменений климата.

Засухи, наводнения, экстремальная жара и бедность сотен миллионов людей – риски возникновения этих явлений существенно возрастут, если допустить 2-градусную поблажку. Ученые настаивают, что работу по снижению вредных выбросов необходимо форсировать, и с точки зрения науки это вполне осуществимо.

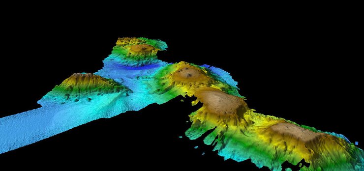
Казалось бы, на земном шаре, окутанном спутниками и изборожденном транспортными путями, уже не должно быть белых пятен. Австралийские ученые доказали, что это не так. В Тасмановом море они обнаружили сеть подводных гор и вулканов. Их высота может достигать 3000 метров, но даже так они и близко не подбираются к поверхности воды, лежащей в 2000 метрах выше. Затерянный мир, как называют это место исследователи, служит пристанищем для многочисленных представителей морской фауны, а также важным ориентиром для мигрирующих видов. Пока ученые осуществили первое знакомство с регионом, но скоро они вернутся для дальнейших исследований и съемок.

А тем временем в Сети была опубликована последняя научная работа выдающегося британского физика Стивена Хокинга. Он завершил ее незадолго до смерти в марте нынешнего года, а сейчас его коллеги из Гарварда и Кембриджа оформили ее и показали миру. Работа посвящена парадоксу исчезновения информации в черной дыре – теме, которая занимала Хокинга не одно десятилетие.

Шевченко создает непобедимую команду, Абрамович пугает фанатов-расистов Освенцимом

Немало интересного произошло и на мировых спортивных аренах. Например, в далеком Буэнос-Айресе сборная Украины сражается на юношеских Олимпийских играх, на которых наша фехтовальщица Катя Черний сумела выиграть две золотых награды.

Вселяет оптимизм в болельщиков и сборная Украины по футболу, сумев вырвать боевую ничью в Италии в товарищеском матче с местной национальной командой – 1:1. По традиции, Фокус проанализировал игру украинской сборной и нашел немало положительных моментов. Например, беспроигрышную серию команды Андрея Шевченко длиною в восемь матчей. Кстати, сам Шевченко обещает вывести сборную страны на Евро-2020 и вполне может решить эту задачу.

Фото: УАФ

А тем временем в Англии громыхнул скандал – неизвестные злоумышленники похитили главный трофей велогонки "Тур де Франс".

Также позабавил владелец "Челси" Роман Абрамович, который предложил отправлять фанатов-расистов на экскурсии в Освенцим – в воспитательных целях. А в жаркой испанской Малаге благодарные болельщики добились переименования одной из городских улиц в честь тренера Маурисио Пеллегрино, который нынче тренирует английский "Вест Хэм" с украинцем Андреем Ярмоленко в составе.

Фото: УНИАН, Getty Images, Государственное объединение научных и прикладных исследований Австралии