Підтримайте нас

МИ В СОЦМЕРЕЖАХ:

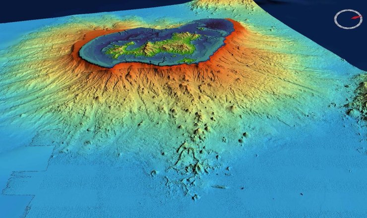
Вище Кракатау. На Землі з'явився новий вулкан, захований під товщею океану

підводний вулкан
Фото: MAYOBS2 Campaign

За словами вчених, вулкан піднімається над морським дном на 820 метрів.

Учені офіційно підтвердили, що внаслідок сейсмічної активності, яка була зафіксована в травні 2018 року, на планеті з'явився новий підводний вулкан. Про це повідомляє Science Alert.

З боку східного узбережжя острова Майотта на 820 метрів над морським дном виріс гігантський вулкан. Для прикладу, висота вулкана індонезійського вулкана Кракатау становить 813 метрів, а найвищий вулкан знаходиться на кордоні Чилі та Аргентини, його висота — 6 893 метри. Він з'явився після великого землетрусу, який стався в травні 2018 року.

"Це було найбільше з коли-небудь задокументованих підводних вивержень", — пишуть дослідники.

Відео дня

Перший сейсмічні поштовхи були зафіксовані 10 травня 2018 року. Кілька днів потому стався великий землетрус магнітудою 5,8 балів. Зіставивши дані вчені дійшли висновку, що землетрус був результатом найбільшої вулканічної події.

Також дані вказали, що епіцентр цієї вулканічної активності знаходиться в 50 км від узбережжя острова, який є територією Франції і частиною вулканічного архіпелагу Коморських островів.

Низка французьких урядових установ відправили на місце групу дослідників, щоб перевірити дані. Учені виявили підводну гору, якої раніше просто не існувало.

вулкан, океан, Майотта
Острів Майотта та вулканічна гряда
Фото: подводный вулкан

Дослідженням керувала геофізикиня Наталі Феє з Паризького університету й результати її роботи були опубліковані нещодавно.

Команда використовувала багатопроменевий гідролокатор, щоб створити карту морського дна площею 8 600 квадратних кілометрів. Також на глибині до 3,5 км були розміщені сейсмометри.

На початку 2019 року мережа сейсмометрів зареєструвала 17 тис. землетрусів на глибині від 20 до 50 км нижче дна океану. Це виявилося несподіванкою для вчених, оскільки осередки більшості землетрусів знаходяться не так глибоко. Також було зафіксовано ще 84 сейсмічні події на незвично низьких частотах.

Виходячи з отриманих даних, вчені змогли з'ясувати те, як відбувалося формування нового вулкана. За словами Феє, процес почався з магматичного резервуара глибоко в астеносфері планети, яка являє собою шар розплавленої мантії під літосферою Землі.

Тектонічні процеси під вулканом, що зароджується, могли пошкодити літосферу, що сприяло витоку магми з кори і викликало серію землетрусів. Зрештою магма вирвалася на поверхню морського дна, утворивши розлив 5 кубічних кілометрів лави і створила новий вулкан.

На сьогоднішній день обсяг матеріалу, викинутого виверженням на морське дно, в тисячу разів перевищує показники інших глибоководних вивержень.

"Обсяги та потік лави під час виверження можна порівняти з даними, які спостерігаються лише в сейсмічних гарячих точках Землі. У майбутньому кальдера нового вулкана може обрушитися або ж підводні виверження продовжаться", — підсумувала дослідниця.