Переоткрывая Землю. 5 чудес природы, о которых вы не слышали

Фото пользователя PIRO4D на Pixabay
Фото пользователя PIRO4D на Pixabay

Наша планета располагает богатым арсеналом уникальных мест и явлений, способных вызвать удивление. Но не всем уделяется одинаковое внимание. Фокус предлагает ознакомиться с пятеркой малоизвестных, но все же поразительных чудес природы

Большой барьерный риф и Великий каньон, река Амазонка и гора Эверест – об этих и многих других неповторимых творениях природы каждый из нас знает еще со школы. Но на карте нашей планеты хватает и других уникальных точек, о которых говорят не так много. Хотя бы потому, что некоторые были открыты совсем недавно или находятся вне досягаемости рядовых путешественников. Так или иначе, но эти чудеса природы заслуживают того, чтобы узнать о них или хотя бы освежить память.

Озеро незастывающей лавы – остров Сондерс, Фолкленды

Это как раз из тех мест, о котором стало известно совсем недавно. Точнее, около 30 лет ученые подозревали о том, что на острове Сондерс в южной Атлантике находится озеро с незастывающей лавой, но подтвердить его существование смогли только сейчас. Дело в том, что оно скрывается в кратере вулкана Маунт Майкл, который насчитывает почти километр в высоту и является крайне сложным для восхождения. Поэтому удостовериться в том, что оно действительно там есть, ученые смогли только сейчас и то не лично, а при помощи спутниковых снимков.

Відео дня

Озеро насчитывает до 215 метров в диаметре, а его температура составляет около 1000 °С.

На планете существуют подобные места, но их крайне мало. Чтобы лава в озере не застывала, ее поток, исходящий из недр земли, должен быть стабильным, но не очень интенсивным, а большая часть тепла должна выходить с летучими материалами (вода, диоксид углерода и т.д.). Подобные условия сложились лишь в 8 точках мира, в том числе и на Сондерсе. Кроме этого острова, озера лавы есть также в Конго, Эфиопии, Антарктиде, Никарагуа, два в Вануату и еще один на Гавайях.

Изумрудные айсберги – Антарктида

Что все мы знаем об айсбергах? Что кораблям лучше обходить их десятой дорогой, что большая их часть прячется под водой и что они белоснежно-голубоватые на вид. Верно? Не совсем. Еще в начале 20 века мореплаватели стали сообщать о том, что в ходе путешествий на глаза им попадались необычные айсберги зеленого цвета.

Десятилетиями исследователи пытались разгадать, в чем причина столь необычного окраса. Предполагалось, что его обеспечивает растворенный органический углерод от давно усопших морских животных и растений. Поскольку сам он желтый, то при смешивании с голубым айсбергом, он мог давать зеленый цвет.

Позднее выяснилось, что содержание органического материала в изумрудных айсбергах такое же, как и в обычных, но ученые из Вашингтонского университета нашли другое объяснение. Они утверждают, что уникальный окрас придает так называемая ледниковая мука – мелкий порошок из скальных пород, богатых железом. Теперь исследователи собираются проверить свою теорию, но вне зависимости от того, подтвердится она или нет, на красоте данного природного явления, это не отразится.

Голубые слезы – острова Мацзу, Тайваньский пролив

Но если увидеть зеленые айсберги своими глазами дано не каждому, то на природный феномен, о котором речь пойдет дальше, поглядеть может любой турист. Каждое лето путешественники съезжаются на острова Мацзу в Тайваньском проливе и наслаждаются видом прибрежных вод, которые светятся голубым светом. Это явление, носит поэтичное название "голубые слезы".

Важно
Одеревеневшая планета. Может ли массовое восстановление лесов остановить глобальное потепление
Одеревеневшая планета. Может ли массовое восстановление лесов остановить глобальное потепление

WanRu Chen/Getty Images

Впрочем, объяснение у него весьма прозаичное – вызывают его биолюминесцентные организмы динофлагелляты, а отходы сельского хозяйства позволяют этим существам процветать. Остатки удобрений, которые воды реки Янцзы несут в Восточно-Китайское море, обеспечивают их питательными веществами для роста и распространения. Так что с годами "голубых слез" стает только больше.

Для туристов это, конечно, хорошая новость, чего не скажешь о морских обитателях. Дело в том, что питаясь, динофлагелляты выделяют аммоний и другие вещества, отравляющие воду, а кроме того, они потребляют содержащийся в ней кислород, тем самым нанося вред представителям местной фауны. Что ж, природа может быть столь же опасной, сколь и красивой.

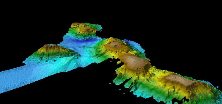
Затерянный мир – Тасманово море

А вот на это чудо природы без специального оборудования взглянуть не удастся. Ведь цепь гор и вулканов в Тасмановом море, прозванная "затерянным миром" сокрыта глубоко под водой. Хотя некоторые пики могут по высоте соперничать с прославленным греческим Олимпом, насчитывающим около 2900 метров в высоту, от поверхности их все равно отделяет еще 2000 метров.

Это уникальное место было открыто австралийскими учеными не далее как в прошлом году, и его исследования еще только начинаются, но уже сейчас известно, что оно служит пристанищем для самой разнообразной морской живности. В частности, для китов и дельфинов. Как отмечают авторы открытия, плавая вблизи "затерянного мира" они встречали этих животных десятками.

Вероятно, это место играет значительную роль для мигрирующих морских обитателей. Ученые называют подводные горы "дорожным указателем на морском миграционном шоссе", которым пользуются киты, перемещаясь между местами зимовки и летними пастбищами.

Лес Пандо – Национальный заповедник Фишлейк, США

Пожалуй, любой заповедник способен раскрыть красоту природы. В конце концов, именно для ее сохранения их и создают. Но заповедник Фишлейк в американском штате Юта – особенное место. Здесь "обитает" один из крупнейших живых организмов на Земле. Речь идет о лесе Пандо, который насчитывает более 45 000 деревьев тополя осинообразного. Все они имеют общую корневую систему и генетически идентичны, так что лес рассматривается, как единый организм.

Суммарная масса деревьев составляет порядка 6 млн кг – по этому показателю Пандо или "Трепещущий гигант", как его еще называют, не имеет равных. Однако с точки зрения площади у леса имеется конкурент. Грибница вида Armillaria gallica в Орегоне, которая также считается едиными организмом, может похвастаться площадью, исчисляемой несколькими сотнями гектаров. Пандо занимает 43. Впрочем, величия у леса это не отнимает.

Важно
Дожить до внуков. 5 животных, рискующих сохраниться лишь на страницах книг
Дожить до внуков. 5 животных, рискующих сохраниться лишь на страницах книг

Увы, гигант, возраст которого насчитывает десятки тысяч лет, в настоящее время умирает. К такому выводу пришли ученые, проанализировав аэрофотоснимки Пандо за последние 80 лет. Вина за это лежит на людях, нарушивших экосистему леса, из-за чего он стал стремительно редеть.